Local Service Overview

Get Ants Extermination Service in Indianapolis, IN

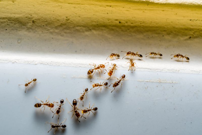
Ants extermination services for property owners in Indianapolis and nearby areas address ant infestations, including residential and commercial treatments for kitchens, basements, and outdoor spaces.

Indianapolis, IN

Ants extermination services provide property owners in Indianapolis, IN with effective solutions to manage and eliminate ant infestations. Addressing ant problems promptly helps maintain a comfortable living or working environment by preventing the nuisance and potential damage caused by large colonies. These services also contribute to safety by reducing the risk of ant-borne bacteria and minimizing the likelihood of ants invading food storage areas, which can compromise hygiene and health.

Choosing professional ant extermination can enhance the overall functionality and curb appeal of a property. Proper treatment ensures long-lasting results, reducing the need for frequent interventions and lowering ongoing maintenance efforts. Additionally, a pest-free property appears more inviting and well-maintained, supporting a positive impression for visitors and residents alike.

Get Ants Extermination Service Quotes

  • Ant Infestation Removal - needed when ants invade kitchens, bathrooms, or other indoor spaces.
  • Outdoor Ant Control - useful for homeowners dealing with ant colonies in lawns, gardens, or around the foundation.
  • Specialized Ant Extermination - required for persistent or hard-to-eliminate ant species in residential or commercial properties.
  • Preventive Ant Treatments - recommended to avoid future ant invasions in high-risk areas such as entry points and food storage zones.
  • Emergency Ant Extermination - sought when ant problems escalate rapidly, causing immediate concerns in homes or businesses near Indianapolis and surrounding areas.

Get Ants Extermination Service Quotes

Ants Extermination Service
Ants Extermination Service
Ants Extermination Service

Ants extermination services involve the identification and removal of ant colonies from residential, commercial, or industrial properties. Professional service providers typically conduct thorough inspections to determine the extent of an infestation, pinpointing entry points and nesting sites. Treatment methods may include the application of targeted insecticides, baiting systems, and sealing cracks or gaps to prevent future invasions. The goal is to eliminate existing ants and reduce the likelihood of re-infestation through strategic prevention measures.

Ant infestations can cause various problems for property owners, including structural damage, contamination of food supplies, and general nuisance. Certain ant species, such as carpenter ants, are known to damage wood structures, potentially leading to costly repairs if left unaddressed. Additionally, ants can contaminate food stored in kitchens or pantries, creating health concerns. Extermination services help resolve these issues by effectively controlling and removing ant populations, restoring safety and comfort to affected spaces.

Properties that commonly utilize ant extermination services include single-family homes, apartment complexes, restaurants, and retail establishments. Residential properties often seek assistance to protect food storage areas and prevent damage to wooden structures. Commercial properties, especially food service businesses, prioritize pest control to maintain hygiene standards and comply with health regulations. In multi-unit dwellings, professional extermination helps manage infestations that could spread between units, ensuring a healthier environment for residents and staff.

Professional ant extermination services are tailored to the specific needs of each property type and infestation severity. Service providers may offer ongoing maintenance plans or one-time treatments depending on the situation. They utilize a combination of inspection, targeted treatments, and preventative strategies to ensure long-term control. Contacting local pest control professionals can provide property owners with the expertise needed to effectively address ant problems and maintain pest-free environments.

The overview below groups typical Ants Extermination Service projects into broad ranges so you can see how smaller, mid-sized, and larger jobs often compare in Indianapolis, IN.

In many markets, a large share of routine jobs stays in the lower and middle ranges, while only a smaller percentage of projects moves into the highest bands when the work is more complex or site conditions are harder than average.

Initial Inspection and Treatment - Cost typically ranges from $100 to $300 for a comprehensive ant inspection and initial treatment. Prices vary depending on the property size and ant infestation severity.

Perimeter Pest Control - Ongoing perimeter treatments usually cost between $50 and $150 per visit. Service providers may recommend multiple visits for effective ant control around the property.

Kitchen or Interior Treatments - Interior ant treatments generally fall within the $75 to $200 range, depending on the extent of the infestation and the size of the area treated.

Bulk or Barrier Treatments - Barrier treatments for larger properties can cost from $200 to $500 or more, with prices influenced by property size and treatment complexity.

Actual totals will depend on details like access to the work area, the scope of the project, and the materials selected, so use these as general starting points rather than exact figures.

Get an Ants Extermination Service Quote

Ants Extermination services involve identifying ant colonies and applying targeted treatments to eliminate infestations effectively.

Local extermination providers offer solutions to remove ants from residential and commercial properties, preventing future invasions.

Professional ant control includes inspecting affected areas and implementing integrated pest management strategies to ensure thorough removal.

Services may include baiting, spraying, and barrier treatments designed to address different types of ant species.

Ants extermination specialists can advise on preventive measures to reduce the likelihood of recurring problems.

Contacting local pros ensures tailored treatment options for ant issues in homes and businesses across Indianapolis and nearby areas.

Ants Extermination Service

When comparing local providers for ant extermination services, experience is a key factor to consider. Established pros typically have a history of handling ant infestations in residential settings similar to those in Indianapolis, IN and nearby areas. Their familiarity with local ant species and common entry points can influence the effectiveness of treatment strategies. Reviewing a provider’s background can help gauge their depth of experience and understanding of regional pest issues, aiding in selecting a service provider with a proven track record.

Clear communication and detailed written expectations are essential when engaging with local ant extermination professionals. Reputable providers often offer comprehensive service descriptions, outlining what treatments will involve, any preparations needed beforehand, and follow-up procedures. This transparency helps homeowners understand the scope of work and what to anticipate, reducing potential misunderstandings. Ensuring that the service provider is responsive to questions and provides thorough written information can contribute to a smoother, more informed process.

Reputable references and testimonials can serve as valuable indicators of a provider’s reliability and quality of service. While the site introduces local options, it’s recommended to seek out reviews or ask for references to confirm a provider’s reputation within the community. Good communication channels, such as prompt responses and willingness to address concerns, also reflect a professional approach. Considering these factors can help homeowners connect with trusted local pros who are well-regarded for their ant extermination services.

Get an Ants Extermination Service Quote

Property owners in Indianapolis, IN use Ants Extermination Service services for practical projects around their homes and businesses. The sections below highlight everyday jobs and straightforward project options.

Ants Extermination Service
Ants Extermination Service

Ants extermination services are often sought by property owners in Indianapolis, IN when ants become a persistent nuisance inside homes or commercial buildings. Common situations include discovering large ant colonies in kitchens, pantries, or basements, which can disrupt daily routines and compromise cleanliness. Property owners may also seek professional assistance when ant infestations appear to be spreading or difficult to control with over-the-counter treatments, ensuring a more thorough and effective solution.

In addition, property owners might look for ant extermination services after noticing increased ant activity during warmer months or following construction projects that disturb ant nests. These services can help eliminate existing colonies and prevent future invasions, protecting the integrity of the property and maintaining a comfortable living or working environment. Local service providers can offer tailored approaches to address specific ant species and infestation levels common to the Indianapolis area.

Get an Ants Extermination Service Quote

How do ant extermination services work? Ant extermination services typically involve inspecting the property to identify ant entry points and nests, followed by targeted treatments to eliminate the colony. Local service providers use various methods such as baits, sprays, or dusts to control ant populations effectively.

Are ant extermination treatments safe for pets and children? Most professional ant control treatments are designed to be safe when applied properly; however, it’s recommended to discuss any concerns with the local service provider before treatment. They can advise on precautions to protect household members during and after the process.

How long does an ant extermination treatment usually last? The effectiveness duration can vary depending on the treatment method and the extent of the infestation. Local pros can provide guidance on follow-up measures to maintain control over time.

Can ant extermination services prevent future infestations? Yes, many service providers offer preventive treatments and advice on reducing attractants around the property to help minimize the risk of future ant problems.

How can I prepare my home for ant extermination services? Preparation may include clearing treated areas, removing food and water sources, and following any specific instructions provided by the local service provider to ensure the treatment's effectiveness.

Ants Extermination Solutions - Local service providers offer targeted treatments to eliminate ant colonies and prevent future infestations.

Inspection and Identification - Pros can assess property conditions to identify ant entry points and nesting areas for effective removal strategies.

Preventive Measures - Experts recommend sealing cracks and removing attractants to reduce the likelihood of ant re-infestation.

Ongoing Monitoring - Regular follow-up services help maintain ant-free environments and address new activity promptly.

Ants Extermination Service

Considering Ants Extermination Service for a property in Indianapolis, IN? The sections above highlight common project types, practical options, and details that often shape the scope of work.

When you are ready, use the quote form to share a few details about your project. Local pros can review the basics and respond with options that match what you have in mind.

Get an Ants Extermination Service Quote

Ants Extermination Quotes